- All Ads
-
- மட்டக்களப்பு
-
- சொத்து
-
- நிலம்
-
- குடியிருப்பு
-
- விற்பனை
-
- Residential Land for Sale in Batticaloa
Residential Land for Sale in Batticaloa
30
views
1/4
-
குடியிருப்பு
Land Type
-
விற்பனை
வகை
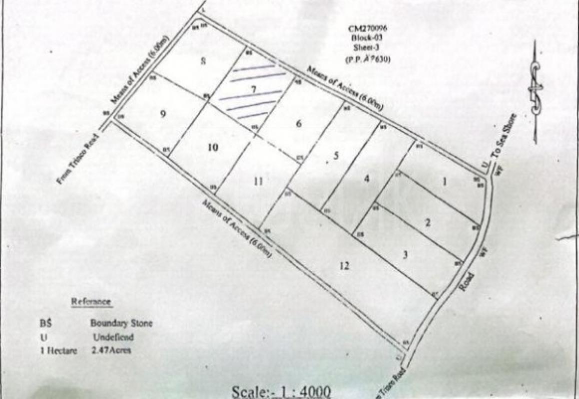
Batticaloa Mylampaveli 2 Acres Land for Sale
Location
The Property is situated Kamatchi Amman Kovil road, Savukkady, Mylampaveli, Batticoloa. Easy access from Trincomalee highway (A15) to this land. It is close to Mevaa Flower Garden & Organic farm.
https://goo.gl/maps/n9DLPUCmtmkkW38Z9
It is10 minutes’ drive to Eastern University and Batticaloa town (approximately 10 km). This land also can be accesses via Bar road from Batticaloa town.
Details
Rectangular land lot 7 and Lot 10 available for sale. Each lot is 2 acres.
Each lot of land facing approximately 295 feet to the access road.
Water and electricity available in this area. Good ground water for human consumption.
Suitable
Each lot can be divided into two small plots. Joint family can invest in this project to build residential houses with farm or agriculture development.
Alternatively
Real Estate Development Company can invest in this land and subdivide the land into small plots. Either develop each plot or sell it.
Price
1 perch LKR 49,000 negotiable
1 Acre land has 160 perches, LKR 7,840,000 negotiable
2 Acres land has 320 perches, LKR 15,680,000 negotiable
4 Acres land has 720 perches, LKR 31,360,000 negotiable
Location
The Property is situated Kamatchi Amman Kovil road, Savukkady, Mylampaveli, Batticoloa. Easy access from Trincomalee highway (A15) to this land. It is close to Mevaa Flower Garden & Organic farm.
https://goo.gl/maps/n9DLPUCmtmkkW38Z9
It is10 minutes’ drive to Eastern University and Batticaloa town (approximately 10 km). This land also can be accesses via Bar road from Batticaloa town.
Details
Rectangular land lot 7 and Lot 10 available for sale. Each lot is 2 acres.
Each lot of land facing approximately 295 feet to the access road.
Water and electricity available in this area. Good ground water for human consumption.
Suitable
Each lot can be divided into two small plots. Joint family can invest in this project to build residential houses with farm or agriculture development.
Alternatively
Real Estate Development Company can invest in this land and subdivide the land into small plots. Either develop each plot or sell it.
Price
1 perch LKR 49,000 negotiable
1 Acre land has 160 perches, LKR 7,840,000 negotiable
2 Acres land has 320 perches, LKR 15,680,000 negotiable
4 Acres land has 720 perches, LKR 31,360,000 negotiable
Do not make any payments to advertiser before inspecting the vehicle. patpat.lk shall not be held responsible for any transaction or agreement reached between the advertiser and you.
Rs: 7,840,000
விலை பேசித்தீர்மானிக்கலாம்
Best Loan Rental:
Rs: 98,886
கடனுக்கான கோரிக்கை
பிரிவு
நிலம்
வகை
விற்பனை
Ref:
W23032512081010199889
+947xxxxxxxx
Click to reveal
+94771486666